Cucaracha Alemana (Blattella Germanica)

Características: color marrón claro con dos marcas longitudinales oscuras en el tórax. Mide entre 1,2 y 2 cm de largo.
Hábitat: de hábitos nocturnos. Vive en áreas cerradas de concentración de calor y especialmente cercanas a alimentos. Pueden trasladarse de un lado a otro por medio de comida (envases, bolsas, recipientes).
Comportamiento / reproducción: tienen una gran capacidad de adaptación a cambios ambientales, alimenticios y estructurales. Son una de las plagas más resistentes a plaguicidas. La hembra produce una ooteca de entre 18 y 48 huevos cada 20 o 25 días. Las ninfas atraviesan entre 6 y 7 etapas hasta convertirse en adultas. La metamorfosis completa puede variar entre 40 y 125 días, dependiendo de las condiciones ambientales y alimenticias. En estado adulto viven alrededor de un año. Son omnívoras al igual que casi todas las especies de cucarachas.
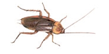
Cucaracha Americana (Periplaneta Americana)

Características: color marrón rojizo, con dos círculos amarillentos en el frente del cuerpo. Mide entre 4 y 6 cm. de largo. Es una de las cucarachas más grandes que infestan el hábitat urbano.
Hábitat: áreas de gran concentración de calor y humedad; cimientos, tuberías, cloacas, etcétera; es una especie muy agresiva que se expone de día y en exteriores.
Comportamiento / reproducción: la hembra produce semanalmente cápsula de huevos (denominada ooteca) que contiene un promedio de 15 huevos. La metamorfosis de ninfa a adulta demora entre 160 y 970 días. Son prácticamente omnívoras, consumen todo tipo de alimentos y también algunos elementos no alimenticios.
Cucaracha Café Ahumada (Periplaneta Filiginosa)

Características: color caoba, mide entre 2 y 2,5 cm. Las alas son de mayor tamaño que su tórax. Las ninfas tienen antenas con puntas blancas.
Hábitat: son una especie con excelentes facultades para volar; habitualmente atraviesan el ambiente desde árboles hacia techos, plantas, etc. Tienden a atacar fuentes de alimentos en exteriores tales como residuos, alimentos para mascotas, etcétera. Son invasoras naturales de entretechos, áticos, buhardillas y todo punto elevado y excluído que comúnmente se halle inhabitado. Una forma habitual de ingreso a viviendas es mediante el acceso de leña.
Comportamiento / reproducción: la hembra produce alrededor de una veintena de ootecas de 24 huevos cada una. Su ciclo de vida es de entre 6 y 7 meses. Se alimentan preferentemente de plantas pero cuando logran ingresar a viviendas sus hábitos de ingesta son absolutamente omnívoros, al igual que casi todas las especies de cucarachas.
Cucaracha Oriental (Blatta Orientalis)

Características: la hembra es de color negro y el macho también, pero tiene dos alas color café oscuro. Ambos géneros miden aproximadamente 2,5 cm de largo.
Hábitat: exteriores; áreas contaminadas o con alimentos en descomposición, terminales de cloacas, alcantarillas, etcétera. Los ambientes exteriores más propicios son los que disponen condiciones de humedad elevadas. Su aparición en áreas cerradas es poco habitual.
Comportamiento / reproducción: la hembra llega a producir 8 ootecas de 16 huevos cada una. La metamorfosis completa es variable dependiendo de condiciones ambientales, alimenticias y estructurales; normalmente se producen entre 7 y 10 cambios hasta llegar a adulta. Como casi todas las especies de cucarachas son omnívoras pero prefieren materia orgánica en descomposición.
|